El huracán Dorian se fortalece a categoría 5 y golpea Bahamas

El huracán Dorian se fortalece a categoría 5
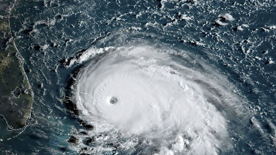
El huracán Dorian se fortalece a categoría 5 / AFP
Afp
01 de septiembre 2019 - 08:23

El huracán Dorian se fortaleció este domingo hasta llegar a categoría 5, acarreando "condiciones catastróficas" que lo convierten en la tormenta más potente jamás registrada en el noroeste de Bahamas, informaron meteorólogos estadounidenses.

"#Dorian es ahora un huracán de categoría 5", dijo en un tuit el Centro Nacional de Huracanes (NHC), con sede en Miami.

"La pared del ojo de este huracán catastrófico está a punto de golpear las Islas Ábaco con vientos devastadores", agregó.

Se espera que la tormenta, que avanza lentamente, permanezca sobre Bahamas este domingo y gran parte del lunes, arrojando hasta 60 centímetros de lluvia en algunas áreas y provocando olas de 3 a 4,5 metros de altura, dijeron los meteorólogos.

Bahamas está en una situación "muy peligrosa", dijo Ken Graham, director del NHC, en una transmisión por Facebook, instando a los residentes a cumplir con las medidas de seguridad de las autoridades locales.

"#Dorian es ahora un huracán de categoría 5", dijo en un tuit el Centro Nacional de Huracanes (NHC), con sede en Miami.

"La pared del ojo de este huracán catastrófico está a punto de golpear las Islas Ábaco con vientos devastadores", agregó.

Se espera que la tormenta, que avanza lentamente, permanezca sobre Bahamas este domingo y gran parte del lunes, arrojando hasta 60 centímetros de lluvia en algunas áreas y provocando olas de 3 a 4,5 metros de altura, dijeron los meteorólogos.

Bahamas está en una situación "muy peligrosa", dijo Ken Graham, director del NHC, en una transmisión por Facebook, instando a los residentes a cumplir con las medidas de seguridad de las autoridades locales.

Temas relacionados

Si te lo perdiste
Lo último
stats