¿Por qué las personas vieron una calavera en la imagen del huracán Matthew?

¿Por qué las personas vieron una calavera en la imagen del huracán Matthew?
¿Por qué las personas vieron una calavera en la imagen del huracán Matthew? / Cortesía/NASA

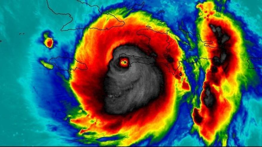
La terrorífica imagen, como las han denominado en redes sociales, del huracán Matthew ha causado conmoción, luego de que se divulgara el pasado martes 4 de octubre una foto donde se puede ver una calavera sonriente. ¿Siniestro, no?.

No crean que es el rostro de Matthew, para nada. Expertos han dicho que se trata de un de un fenómeno denominado pareidolia, que no es más que la capacidad del cerebro humano de poder ver rostros en algunas estructuras, sostiene la meteoróloga Annette Quinn.

Esto fue lo que pasó cuando el presentador de una cadena de noticias daba el segmento del tiempo y se sorprendió al ver la espeluznante forma.

Esta fue la terrorífica imagen que circuló e impacto a millones de personas.
Esta fue la terrorífica imagen que circuló e impacto a millones de personas. / Cortesía.

Agrega Quinn que en el momento en el que se muestra el satélite con la imagen del huracán se destacan las formas de dientes y un cráneo.

La intención de la imagen era destacar las zonas más críticas con distintos colores y el resultado fue el dibujo de la calavera.

“La reina del tiempo” explicó que en redes sociales, los usuarios al ver la imagen empezaron a especular de que podría haber una relación con la historia del manejo de Haití en cuanto al vudú, para lograr la independencia de Francia.

Otros casos

El mismo fenómeno se ha dado en otras fotografías captadas por la NASA, en la superficie marciana.

Estatus del huracán

El "extremadamente peligroso" huracán Matthew ganó intensidad nuevamente este jueves 6 de octubre, al subir sus vientos máximos a 220 km/hora, mientras se aproxima a la costa sureste de Florida, informó el Centro Nacional de Huracanes (CNH).

El CNH también indicó que el poderoso huracán recobró fuerza de categoría 4 a su paso por Bahamas y se encuentra a 40 kilómetros al oeste noroeste de Nassau (Bahamas) y a 290 kilómetros al sureste de West Palm Beach, en la costa de Florida.

El huracán, que ya ha pasado por Haití y Cuba, países donde se han retirado los avisos y alertas por el paso de este ciclón, está causando torrenciales aguaceros, fuertes vientos e inundaciones en las zonas donde tocó tierra, además de peligrosos deslizamientos.

El saldo preliminar del paso del huracán Matthew es de 25 muertos, 19 de los cuales se contabilizaron en Haití, según medios.

El gobernador de Florida, Rick Scott, advirtió esta mañana en una rueda de prensa de que "millones de floridanos se quedarán sin luz eléctrica" tras el embate de este temible huracán.

Temas relacionados

Si te lo perdiste
Lo último
stats