TVN plus En vivo

Huracán Lane se debilita pero mantiene amenaza sobre Hawái

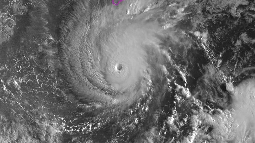
Imagen del desplazamiento del huracán
Imagen del desplazamiento del huracán / AFP
Afp
22 de agosto 2018 - 12:53

El huracán Lane se debilitó un poco en la madrugada del miércoles pero igual golpeará con fuerza a Hawái, con fuertes vientos, gran oleaje y lluvias torrenciales capaces de causar inundaciones y deslizamientos de tierra.

Lane bajó de categoría 5 -la máxima posible, que mantuvo brevemente- a 4, con vientos máximos sostenidos de 250 km/h y viajando desde el sur hacia las principales islas de este estado estadounidense en el medio del Pacífico, indicó el Servicio Meteorológico de Estados Unidos.

"El núcleo de Lane se moverá muy cerca o sobre las principales islas hawaianas desde el jueves hasta el sábado", señaló.

Las autoridades esperan que la tormenta se debilite en las próximas 48 horas, pero igual amenaza con golpear fuertemente.

"No es posible predecir qué islas serán más golpeadas por los efectos de tormenta en este momento debido a la proximidad del huracán a las islas de Hawái y la incertidumbre en el curso de Lane", indicó el Centro de Huracanes del Pacífico Central (CPHC) en un boletín.

"Los pronósticos del CPHC continúan mostrando que todas las islas corren riesgo por los efectos del núcleo del huracán Lane", siguió el boletín, que advirtió que puede haber "ajustes futuros en la trayectoria y pronóstico de intensidad".

Se esperan acumulaciones de entre 250 y 380 mm de lluvia, con hasta 500 mm en algunas zonas.

El gobernador David Ige firmó por adelantado una declaración de emergencia para encarar los daños del fenómeno y ordenó el cierre de escuelas públicas.

"Lane no es un huracán bien comportado", dijo en un comunicado. "Nunca había visto cambios tan dramáticos en una trayectoria como en esta tormenta".

"Exhorto a nuestros residentes y visitantes a tomar esta amenaza en serio y prepararse para un impacto significativo".

El presidente Donald Trump pidió a los residentes de Hawái "preparase" para el huracán. "Manténganse a salvo", escribió en Twitter.

Los huracanes rara vez tocan tierra en Hawái. La última vez que ocurrió fue en 1992 cuando Iniki golpeó la isla de Kauai, dejando un saldo de seis fallecidos y 3.000 millones de dólares en daños.

Temas relacionados

Si te lo perdiste
Lo último
stats