Dorian, con vientos aminorados de categoría 3, pone rumbo a la costa de EEUU

El huracán Dorian avanza
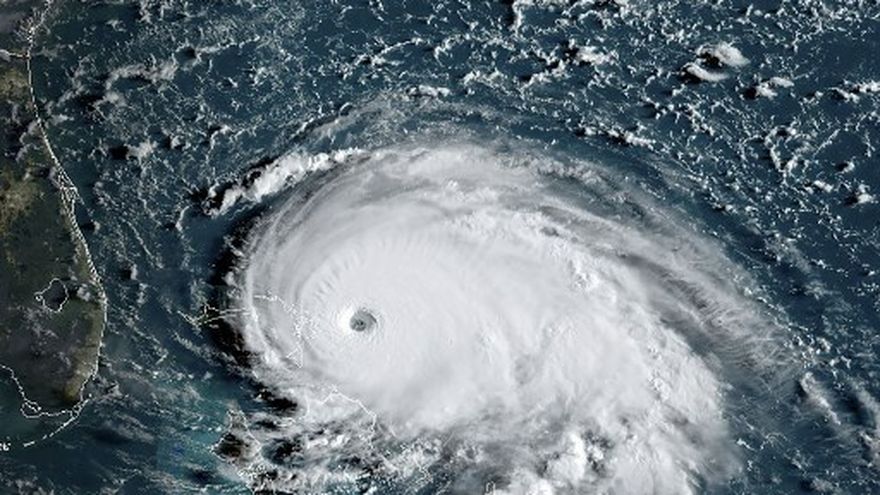
El huracán Dorian avanza / AFP
Efe
03 de septiembre 2019 - 08:12

El huracán Dorian, ahora con vientos aminorados a 120 millas por hora (195 km/h), que equivalen a categoría 3, se desplaza lentamente hacia el noroeste desde el norte de las islas Bahamas y se espera que se sitúe muy cerca de la costa de Florida a partir de este martes por la noche.

En su boletín de las 8.00 horas locales, el Centro Nacional de Huracanes (NHC), que sigue considerando a Dorian un huracán "extremadamente peligroso", lo sitúa a una 40 millas (70 km) al noreste de Freeport, en la isla Gran Bahama, y a 110 millas (120 km) de West Palm Beach, en la costa este de Florida.

La velocidad sigue siendo de una milla por hora (2 km/h), la misma de este lunes cuando se abatió sobre Gran Bahama, que sigue afectada por la parte sur del ojo de Dorian.

Sin embargo, según el pronóstico del NHC, Dorian empezará hoy por la tarde a ir más rápido cuando avance en dirección noroeste o nor-noroeste.

El miércoles por la tarde virará hacia el norte y el jueves por la mañana hacia el nor-noreste.

De acuerdo con el boletín, Dorian pasará muy cerca de la costa de Florida y después por las de Georgia y Carolina del Sur, lo que significa que las bandas exteriores del huracán se sentirán en tierra.

En Carolina del Norte, adonde se espera que llegue a últimas horas del jueves, existe la posibilidad de que llegue a tocar tierra, de acuerdo con ese patrón de trayectoria.

Los vientos con fuerza de huracán de Dorian se extienden hasta 45 millas (75 km) de su centro y los de tormenta tropical hasta 160 millas (260 km).

El NHC emitió una serie de avisos y ordenes de vigilancia para todos los territorios estadounidenses bajo la amenaza de Dorian.

Los efectos en tierra van desde vientos, marejada ciclónica con subida del mar hasta 10 a 15 pies por encima de lo normal en Gran Bahama, oleaje, inundaciones, lluvia intensa, resaca y tornados.

Con categoría 5, la máxima de la escala Saffir-Simpson, Dorian impactó el pasado domingo sobre las islas Ábaco, en el archipiélago de Bahamas, donde ha dejado en principio unas 13 000 viviendas destruidas, según estimaciones de la Cruz Roja.

El primer ministro de Bahamas, Hubert Minnis, informó este lunes de que al menos cinco personas fallecieron en las Ábaco a causa del huracán, según datos provisionales, que no incluyen los efecros en Gran Bahama, isla que el lunes fue golpeada por el huracán.

El huracán bajó este lunes a categoría 4 en la escala Saffir-Simpson después de que sus vientos máximos sostenidos se redujeron a 145 millas por hora (233 km/h).

Temas relacionados

Si te lo perdiste
Lo último
stats