Al menos un muerto por huracán Dorian en Bahamas mientras sigue su avance

El huracán Dorian
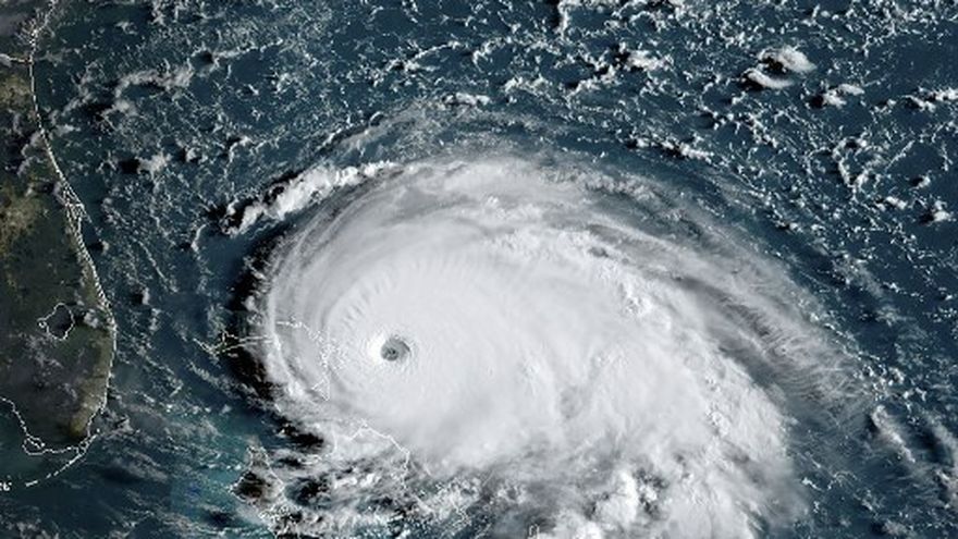
El huracán Dorian / AFP
Efe
02 de septiembre 2019 - 06:55

El huracán Dorian, de categoría 5, sigue su lento avance por Gran Bahama, en el noroeste del archipiélago de Bahamas, donde se ha cobrado, al menos una vida, un niño de siete años, aunque se prevé que la cifra aumente.

El ciclón avanza a un ritmo de 1,6 kilómetros por hora por Gran Bahama, tras azotar y arrasar las Islas Ábaco -en el noreste-, donde cientos de viviendas se encuentran bajo el agua, el tendido eléctrico destruido, los árboles arrasados y las comunicaciones cortadas.

De acuerdo a la cadena de televisión Eyewitness news y el diario digital Bahamas Press el niño Lachino McIntosh murió ahogado por la fuerte subida de las aguas en Islas Ábaco por el paso del ciclón, mientras que su hermana está desaparecida.

La abuela del menor, Ingrid McIntosh, dijo a Eyewitness News que la información le fue proporcionada por su propia hija tras hallar el cadáver de su hijo.

Sin embargo, las autoridades esperan que la cifra incremente considerablemente debido a la destrucción causada, indicaron ambos medios.

Dorian tocó tierra este domingo en el Cayo Elbow, en las islas Ábaco del archipiélago atlántico y, posteriormente tocó tierra, una segunda vez, cerca de Puerto Marsh, también en las islas Ábaco.

Puerto Sandy y zonas del oeste de Nueva Providence siguen sin comunicaciones y muchas partes de la isla continúan sin electricidad este lunes, según informan medios locales.

En las imágenes difundidas por varios habitantes son visibles coches y casas de las que solo se ve el tejado sumergidos debido a las inundaciones que han convertido las calles en ríos, todo ello acompañado de vientos, en algunos momentos fueron de entre 297 y 350 kilómetros por hora.

"No se puede distinguir el inicio de algunas calles con el del mar en muchas partes", dijo este domingo el primer ministro bahameño, Hubert Minnis.

Cientos de personas se encuentran refugiadas en las 14 iglesias y escuelas habilitadas como refugios.

En un mensaje a la población este domingo, la Agencia Nacional de Manejo de Emergencias de Bahamas (NEMA, por su sigla en inglés) pidió, a su vez, rezar para que todo salga bien y advirtió a la población de que actualmente "están haciendo todo lo posible" para ayudar.

Se trata del huracán más potente que haya pasado por las Bahamas y el de mayor categoría este año en el mundo.

Por medio de su cuenta oficial en Twitter la NEMA también pidió que no se comparta o difunda información a través de las redes sociales de presuntas imágenes del paso del ciclón ya que podría no obedecer a la realidad y "llevar a la confusión" a la ciudadanía.

Además solicitó que se intente mantener la calma y "ante todo recen para que todo salga bien".

En una conferencia de prensa antes de la llegada del huracán, el primer ministro, quién se emocionó en varios momentos de la misma, afirmó que hoy era el peor día y el más triste de su vida.

"Como médico he sido entrenado para aguantar muchas cosas, pero nada como esto", dijo.

Los testimonios ofrecidos por residentes de las islas Ábaco a medios locales son relatos de destrucción masiva de los edificios, así como de inundaciones.

Temas relacionados

Si te lo perdiste
Lo último
stats