TVN plus En vivo

Siga el paso del poderoso huracán Irma, autoridades aseguran que se mueve lejos de Panamá

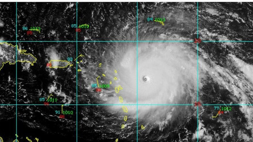
El huracán Irma se mueve lejos de Panamá y Centroamérica. Se espera descargue su furia esta noche en islas de las Antillas Menores.
El huracán Irma se mueve lejos de Panamá y Centroamérica. Se espera descargue su furia esta noche en islas de las Antillas Menores. / Tomado de Twitter/@Etesatransmite

El Departamento de Hidrometerología de la Empresa de Transmisión Eléctrica, S.A (Etesa) aseguró este martes 5 de septiembre que el huracán Irma no está cerca de Panamá y Centroamérica.

El ciclón, que alcanzó la máxima categoría de la escala de cinco este martes y con vientos de 285 kilómetros por hora, se está moviendo hacia el oeste, cerca de la isla Antigua en las Antillas Menores.

Hidrometeorología de Etesa informará a la población sobre la localización y evolución del huracán, que amenaza a Puerto Rico, República Dominicana, Cuba y Florida.

La oficina destaca que Panamá continúa dentro “de los patrones típicos de la temporada lluviosa", asociados a la Zona de Convergencia Intertropical y el paso de ondas tropicales.

El Centro Nacional de Huracanes (CNH) de Estados Unidos estima que Irma descargará su furia a partir de esta noche en islas de las Antillas Menores.

Siga el paso del huracán Irma aquí

Si te lo perdiste
Lo último
stats